Le houblon est donc cultivé dans l'est et le nord, jusqu'en Belgique, pour aromatiser la bière et assurer sa bonne conservation. La bière a remplacé la cervoise lorsqu'on a découvert les propriétés du houblon. On peut aussi consommer les jeunes pousses comme des asperges. Mais attention, le houblon est suspecté de calmer les ardeurs amoureuses des messieurs.
Il est cultivé à grande échelle sur des perches de plusieurs mètres de haut, dans ce style :
http://www.biopix.eu/houblon-humulus-lupulus_photo-36473.aspx
Car il est capable de grimper jusqu'à 10m. Le mien, une brute sauvage, n'a pas besoin de structures artificielles. Il grimpe sur tout ce qu'il trouve. Je le laisse faire là où il ne gêne pas, je coupe là où il ne doit pas aller. Il disparaît en hiver mais ses épaisses racines sont toujours là, pour les hépiales et pour repartir de plus belle au printemps.
C'est une plante dioïque. Elle est très volubile, s'enroule sur son support. Elle a des feuilles opposées de 3 à 5 lobes.

Nous allons d'abord voir le mâle, celui que les cultivateurs suppriment car il ne leur sert à rien, seuls les cônes femelles sont utilisés. Il est pourtant indispensable pour assurer la relève.
Curieusement, les femelles grimpent partout mais je n'ai trouvé les mâles que dans les noisetiers.
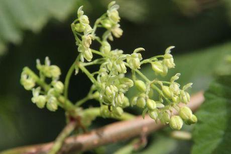
Les fleurs mâles sont groupées en grandes panicules lâches. Nous allons suivre l'évolution des fleurs depuis l'inflorescence en boutons à l’extrémité d'une tige jusqu'aux fleurs épanouies sur les inflorescences vers la base de la tige.








Les fleurs ont 5 étamines aux anthères larges qui lâchent le pollen :





