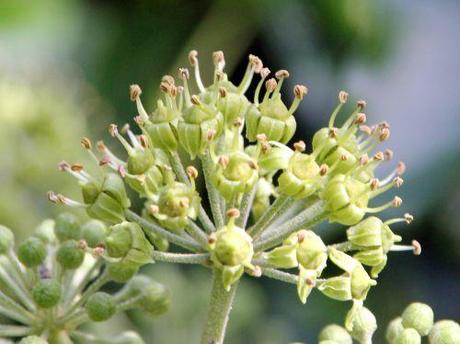
Le lierre est en fleurs.








A Veneux il n'y a pas d'asters car il n'y a pas de place au soleil pour eux. Mais les insectes trouvent autant de nectar qu'à Romilly, c'est la ruée vers les fleurs de lierre et il y en a de grandes quantités.











Le lierre est en fleurs.








A Veneux il n'y a pas d'asters car il n'y a pas de place au soleil pour eux. Mais les insectes trouvent autant de nectar qu'à Romilly, c'est la ruée vers les fleurs de lierre et il y en a de grandes quantités.










